Описание кустарника
Орешник – многолетнее растение, которое принадлежит семейству Берёзовых и роду Лещина. Он живет в среднем 80 лет. Своим названием растение обязано форме листьев, которые внешне похожи на туловище рыбы леща.
Внешние характеристики
Род Corylus объединяет кустарники высотой до 10 м и деревья до 20 м. Густая крона в форме шара или яйца имеет пирамидальную верхушку.
Широкоовальные листья лещины с зазубренными краями и четко выступающими прожилками позволяют с легкостью распознать растение. За тонкие длинные ветки листовые пластины крепятся сильными волосистыми черешками.
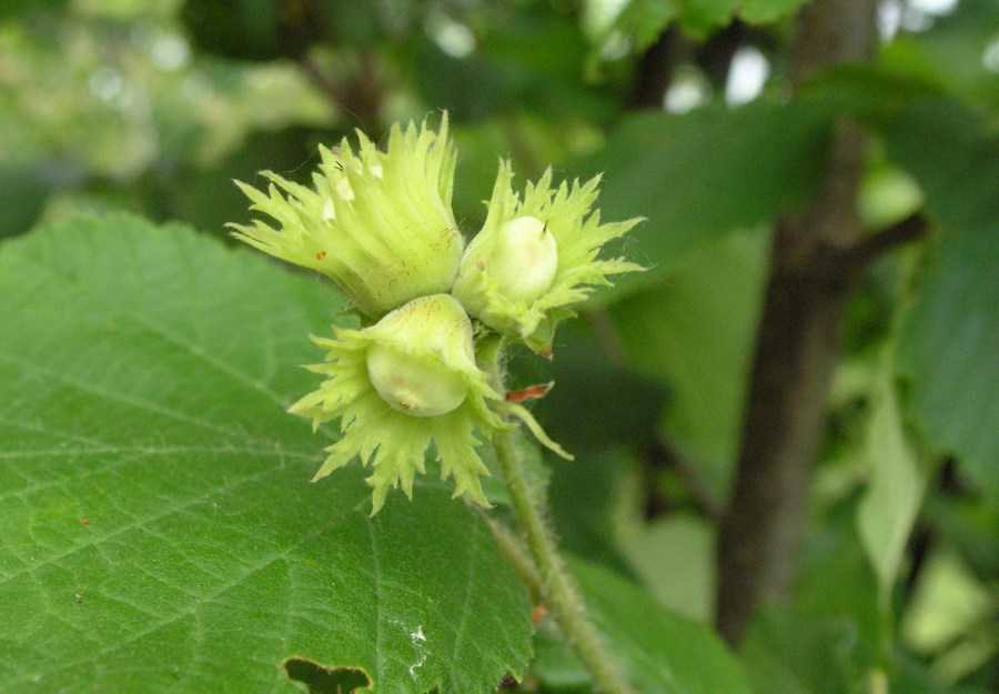
Цвести начинает лещина весной. Цветочки делятся на тычиночные (мужские) и пестичные (женские). Тычинки находятся в сережках. Из одной почки на орешнике могут распуститься до пяти сережек длиной 0,1 м. Женские цветы – почки со слаборазвитыми околоцветниками и пестиками. Из них проклевывается красноватый пушок рылец, который свидетельствует о количестве спрятанных цветков. Опыляются они ветром и насекомыми.
Лесной орех радует урожаем на восьмой год жизни. Плод – шарообразный орех желто-коричневого оттенка, скрытый в шлемовидной обертке. Коричневый цвет ореховой скорлупы и сухой серебристо-бурый покров говорят о полном созревании. Обычно это наступает в августе.
Ствол растения длинный, почти ровный и гибкий. Кора лещины гладкая на ощупь и серо-коричневого цвета. Корневая система мощная, но при этом основная часть корней расположена в верхние толще земли, что не позволяет орешнику получать влагу из глубины.
Где растет лесной орех
По отношению к почве растение не слишком требовательно. Однако максимально высокую урожайность оно показывает на плодородной, нейтральной по кислотности и легкой по составу земле. Плотный грунт негативно сказывается на плодоношении.
Наиболее приемлемым считается для орешника теплый климат. Лещина растет на южной территории Европы, в России, в грузинских, белорусских лесах и степях.
Фундук – это не совсем лещина
Их главное различие том, что лещина – это дикая культура, а фундук – представитель лучших сортов орешника. Фундук любит тепло, плоды у него больше и имеют лучший товарный вид. Но по полезности лидирует лещина, так как растет она в естественных условиях.
Сорта лещины
Всего различают 17 видов орешника. К наиболее известным относятся лещина Американская, обыкновенная, китайская, древовидная, колхидская и другие.
Каждый вид включает в себя различные сорта лещины. Только на территории постсоветского пространства учеными были изучены более 60 штук. Они разные по размеру, форме, вкусу, морозостойкости. Многие из них были выведены из лещины обыкновенной лесной: Панахесский, Первенец, сорт лещины обыкновенной «Фускорубра».
Лещина обыкновенная (Corylus avellana)
Шестиметровый кустарник состоит из множества стволов и пышной кроны. Уникальность Corylus avellana в том, что цветет она до распускания первых листочков. Плоды растут поодиночке и группами из двух и более штук. Орехи в форме шара имеют длину 1,8 см и диаметр до 1,5 см.

Прирост растения зависит от стадии жизни. В первые годы рост практически незаметен. К 6-летию он активизируется, о чем свидетельствует появление молодых побегов.
Лещина обыкновенная объединяет свыше ста сортов. Главенствующую позицию занимает Панахесский. К декоративным разновидностям орешника относятся Aurea, Contorta, Purpurea, сорт лещины обыкновенной «Fuscorubra».
Лещина древовидная (Corylus colurna) или медвежий орех
30-метровое дерево живет около двух сотен лет. Лещина древовидная или орех медвежий отличается стройным белесо-серым стволом, конусовидной кроной.
Дерево непривередливое, устойчивое к загрязнениям окружающей среды и морозам, способно переносить долгую засуху. Лучшие свои качества оно показывает на плодородной земле. В России медвежий орех находится под защитой, разводится в заповедных зонах.
Лещина маньчжурская (Corylus mandshurica)
Это высокий кустарник до 5 м с множеством разветвленных побегов. Его выращивают с целью получения целебного лакомства и для декорирования сада. Вытянутые орехи облачены в тонкую скорлупу и в обертку с шипами. Лещина маньчжурская хорошо приспособлена к низким температурам и тени.

Лещина разнолистная (Corylus heterophylla)
Кустарник вытягивается до 3 м. У него красивая густая крона из темных зеленых листьев. Весной при распускании у них красноватый оттенок, а осенью они становятся золотисто-оранжевыми и золотисто-желтыми.
Corylus heterophylla, что с латинского значит лещина разнолистная, отличается приплюснутыми сверху плодами округленной формы. Орехи имеют отменные вкусовые качества.
Лещина разнолистная устойчива к засухе и низким температурам. Ее ареалом распространения являются Сибирь, Восточная Азия.
Лещина краснолистная
Corylus avellana переводится как лещина обыкновенная, а red majestic – краснолистная. Орешник выглядит более оригинально за счет бордовой кроны. Размер кустарника достигает 4 м. После цветения развиваются плоды в красной обертке. Ядра ореха имеют розовый оттенок и отменный вкус.
Лесной орех ред маджестик – это источник полезного лакомства. Урожай собирают в конце лета – начале осени. О зрелости плодов свидетельствует их темно-коричневый цвет.

Красный орешник – умное решение в ландшафтном дизайне. Из него сооружают живые изгороди и включают в отдельные композиции. Издалека растение напоминает большой красный шатер.
На территории РФ и ближнего зарубежья выделяют несколько сортов краснолистного ореха. Лучшим для выращивания признан Московский Рубин. Red majestiс – это теплолюбивое растение. Лещина краснолистная не всегда выдерживает суровых погодных условий отдельных регионов России.
Лещина крупная (Corylus maxima) или ломбардный орех
Это вид, который положил начало культурному разведению орешника. Его название пошло от области Ломбардия в Италии. Кустарники достигают высоты 10 м. Крона представлена округлыми листьями с зубчатыми краями.

Плоды растут на длинной ножке кучками по 3-6 штук. Длина одного ореха составляет 25 мм., диаметр – 15 мм. Лещина крупная встречается в турецких, итальянских лесных массивах.
Маньчжурский орех: лечебные свойства
В терапии и профилактике различных заболеваний используются настойки и отвары коры, скорлупы, листьев за счет наличия дубильных и других веществ, которые обеспечивают противовоспалительное, антимикробное действие. Плоды эффективны в чистом виде в качестве профилактического/терапевтического средства:
- заболеваний сердечно-сосудистой системы;
- нарушенной памяти и других отклонений, связанных с работой головного мозга;
- анемии;
- болезней эпидермиса.
Отвар может быть использован для лечения воспалений, ран ротовой полости, запоров, гастритов, диареи, есть данные о противораковом действии.
Скорлупа отличается высоким содержанием йода, но для выделения ценных веществ из одеревеневших частей требует длительного настаивания. Продолжительный курс служит эффективным средством в борьбе с дисфункцией щитовидной железы.

Ванночки с отваром коры облегчат течение ревматизма
Посадка маньчжурского ореха

На участок маньчжурский орех на постоянное место пересаживайте весной (в апреле) или осенью (в сентябре). Высаживать дерево рекомендуется с северной стороны, при этом помните, что по мере роста оно будет занимать много места. Соответственно рассчитывайте расстояние до него от других растений.
Орех плохо переносит кислую почву, отлично растет в слабощелочной или нейтральной среде с показателем рН 6,5-7,5. Чтобы добиться этих условий, в землю добавляют древесную золу или фосфорно-калийные удобрения (количество зависит от типа почвы).
Советы по посадке ореха:
- Для посадки ореха грядку нужно вскопать, углубившись примерно десяти сантиметров, посыпать золу и разрыхлить. После разметьте лунки, выдерживая расстояние между ними около десяти метров.
- При условии, что вы на постоянное место сразу высаживаете семена (орешки), помещайте их на глубину около восьми сантиметров. Орехи нужно класть на ребро, на один метр по десять или пятнадцать штук. Затем их засыпают землей и сверху кладут слой соломы или опилок (мульчируют) для лучшего удержания влаги.
- При высаживании саженцев делайте лунки в глубину по 80 сантиметров. В каждую лунку насыпайте дренаж, это могут быть камни, щебень, битый кирпич. На дренаж разместите слой почвы, которую в равных частях смешайте с перегноем, песком и дерном. На подготовленную почву в лунку поставьте саженец, привяжите его к колышку и закройте на 4/5 высоты землей, обильно полейте, подождите минут семь, пока вода впитается и засыпьте оставшуюся часть. Почву вокруг ствола слегка прижмите и сверху посыпьте толстым слоем опилок или торфа. Это нужно сделать для защиты саженцев от мороза.
После пересадки орех требует много влаги, поэтому его нужно регулярно поливать в несколько приемов. Если погода засушливая, сбрызгиваете саженцы из шланга.
При посадке у саженцев надо подрезать корни, иначе орех будет расти медленно. Заранее – у молодого саженца на глубине 30-40 сантиметров обрезать стержневой корень, который уходит вглубь. Это позволит стимулирует рост боковых корней, и при пересадке корни не будут сильно повреждаться.
Чтобы растение хорошо прижилось и росло, его нужно правильно расположить относительно сторон света. Высаживайте саженцы в соответствии с их первоначальным расположением, то есть «южная сторона» — на юг, «северная» — на север.
Болезни и вредители
Лещина маньчжурская часто страдает от нападок орехового долгоносика. Если насаждения орешника старые, вероятность появления этого вредителя возрастает в несколько раз. В этом случае можно потерять 80% урожая. В случае появления орехового долгоносика проводят 3-4 обработки сада химическими препаратами (инсектицидами) в период вегетации.
Лещина маньчжурская не подвержена основным заболеваниям ореховых культур. Редко может страдать от грибковых поражений. При появлении первых признаков заболевания: белые или ржавые скрученные листья, их увядание и опадание без видимой причины, необходимо провести опрыскивание поросли орешника фунгицидами.
Важно! Особо опасна для лещины маньчжурской стволовая гниль. Она долгое время может находиться под корой растения, ничем себя не проявляя
При этом кустарник начинает медленно увядать без видимых причин. Присмотревшись, на коре лещины можно обнаружить небольшие бугорки и борозды, покрытые бурым или ржавым налетом. При первых признаках поражения кустарник обрабатывают бордосской жидкостью или другими фунгицидами
Она долгое время может находиться под корой растения, ничем себя не проявляя. При этом кустарник начинает медленно увядать без видимых причин. Присмотревшись, на коре лещины можно обнаружить небольшие бугорки и борозды, покрытые бурым или ржавым налетом. При первых признаках поражения кустарник обрабатывают бордосской жидкостью или другими фунгицидами.
Сорта лещины обыкновенной
Сорта, предназначенные для условий средней полосы, получены в основном в Ивантеевском лесном селекционном опытно-показательном питомнике Московской области. Это:
- Академик Яблоков,
- Ивантеевский красный,
- Кудрайф,
- Московский ранний,
- Московский рубин,
- Первенец,
- Пурпурный,
- Сахарный,
- Тамбовский ранний.
Сорт Признание, созданный для этого же региона, выведен в Уфе.
Южные сорта орешника выведены в научно-исследовательских учреждениях Краснодара и Сочи:
- Ата-Баба,
- Черкесский 2,
- Римский,
- Кавказ,
- Карамановский,
- Кубань,
- Перестройка,
- Сочи 1 и Сочи 2.
Краснолистная и зеленолистная лещина
На участке важно иметь взаимоопыляемые сорта, что будет способствовать ежегодному плодоношению. Тамбовский ранний и Первенец относят к сортам-опылителям краснолистных форм (они образуют много более зимостойких мужских соцветий)
В зимний период нередко у сортов лещины погибает пыльца, но в этих же условиях сохраняются женские цветки, и опыление всё же состоится за счёт морозостойкого сорта-опылителя. Зелёнолистные орешники считаются более зимостойкими; из краснолистных более устойчивы к морозам Пушкинский красный, Чудо Всесвятского, Мария Макаревич.

Ещё в 1920-х годах И.В. Мичурин акклиматизировал южные сорта в г. Мичуринске и получил зимостойкие культурные формы. Его последователи успешно продолжили начатое дело, что позволило выращивать лещину и в средней полосе. На садовых участках Подмосковья многие годы успешно произрастают новые сорта и формы лесного ореха, созданные в НПО «Фундук» (г. Ивантеевка, Московская область) и других научно-исследовательских учреждениях.
Государственным реестром селекционных достижений РФ рекомендовано для выращивания 19 сортов, в том числе 10 сортов для средней полосы и 9 — для юга.
Как опыляется?
Цветение фундука начинается на 20-30 дней раньше, чем распускание листьев.
Важно!
В среднем, продолжительность цветения фундука составляет 10 дней.
На ветвях кустарника формируются длинные сережки, при раскачивании их чешуи раздвигаются, открывая пыльники. Выброшенная из пыльников пыльца разносится ветром, процесс пыления длится до 12 дней.

Поскольку в это время на орешнике еще нет листьев, пыльца легко улавливается рыльцами пестиков, а затем оплодотворяет яйцеклетку.
Через некоторое время мужские сережки засыхают и облетают, а женские увеличиваются в несколько раз и трансформируются в соплодия. Плоды хорошо завязываются при перекрестном опылении.
Для увеличения показателя урожайности рекомендуется высаживать недалеко друг от друга несколько кустарников разных сортов.
Разница с лещиной (лесным видом) при культивировании
Лещина – это род кустарников семейства Березовые, произрастающих в различных климатических поясах. В результате скрещивания некоторых видов был выведен фундук. Разница между ним и лесным орехом состоит в следующем:

- размер плодов – у культивированного орешника они намного крупнее, чем у дикого, то же самое можно сказать и об урожайности;
- неприхотливость – лещина нуждается в меньшем уходе, чем фундук, что актуально для выращивания на даче, где нет возможности находиться ежедневно;
- устойчивость к суровым зимам и весенним заморозкам – лесной орех намного лучше переносит неблагоприятные условия, и в то же время, лещина приживается на приусадебных участках хуже, чем фундук.
Совет
Прежде, чем заняться разведением фундука, нужно подобрать сорт, наиболее подходящий к климатическим условиям конкретного региона. При выборе саженцев для холодных регионов России, следует учитывать, является ли сорт морозостойким.
Балканская эндемическая нефропатия
«Балканская эндемическая нефропатия» известна с 1950-х годов, и впервые была зафиксирована в земледельческих районах балканского полуострова. У больных отмечается острая почечная недостаточность, а у половины еще и рак почек.
Вот уже на протяжении многих лет люди научились распознавать лечебные свойства в составе различных растений, применяя их в народной медицине в качестве основного ингредиента. Все народы мира активно применяли лекарственные препараты, приготовленные собственноручно.
Нужно отметить, что большую часть из этих растений вы можете найти просто у себя под ногами. Просто нужно уметь их распознавать.
Большая часть современных медицинских препаратов, несомненно, могут вести эффективную борьбу с разными видами заболеваний. Иногда их применение может спровоцировать появление ярко выраженных побочных действий.
В некоторых случаях это приводит к тому, что их систематическое применение может быть опасным для здоровья пациента. Иными словами, вы сможете вылечить один недуг, но в результате лечения заработаете совсем другой.
Говоря о народных средствах, проверка которых происходила на протяжении многих лет, то они не способны нанести какого-либо вреда здоровью человека, как это может произойти с дорогостоящими синтетическими препаратами. Разумеется, не все так гладко и подобное лечение обладает одним минусом – это длительный лечебный курс.
К таким лечебным растениям относится кирказон. О лечебных свойствах этого растения люди узнали еще несколько сотен лет назад, когда впервые попытались с его помощью вылечить какой-нибудь недуг.
Он обладает долгим списком полезных свойств из-за высокого содержания активных компонентов. Среди них есть аскорбиновая кислота, эфирное масло, каротин, дубильные вещества, фитонциды, органические кислоты и многое другое. Более подробно о лечебных свойствах кирказона и пойдет речь в данной статье.
Стоит отметить, что кирказон – это нефармакопейное растение, которое пока не используется в традиционной медицине. Но это не помешало людям начать его применять в гомеопатии, а также в народной медицине. Для лечения может использоваться не только наземная часть кирказона, но и его корень. Благодаря отхаркивающим и потогонным свойствам, растение эффективно используется для лечения многих патологий (водянка, цинга, туберкулез легких, простуда и так далее).
Наземная часть лекарственного растения обладает обезболивающими, противомикробными, ранозаживляющими и адаптогенными свойствами. Лечебные части кирказона являются малотоксичными, что делает их эффективными в качестве основного или дополнительного терапевтического средства.
Полезные компоненты растения способствуют нормализации артериального давления, поэтому оно активно используется при гипертонии. Противомикробные свойства кирказона активно борются практически со всеми видами микроорганизмов.
Многие врачеватели применяют корневую часть растения в гинекологии. Настои, приготовленные на основе кирказона, помогают бороться с такими заболеваниями, как эндометриоз, киста, эрозия, полипы, фибромиом, миом и другие. Данное лечебное растение способно устранять спазмы кишечника, желудка, также оно используется для лечения и профилактики заболеваний желудочно-кишечного тракта (ЖКТ).
Трава может применяться и наружно. Для этого готовятся специальные примочки, компрессы или ванночки, которые хорошо помогают при фурункулах, дерматите, воспалении кожного покрова, а также они могут лечить образовавшиеся гнойные раны. Растения также используется в качестве противоядия при укусах некоторых видов ядовитых змей.
Помимо всего прочего, это растение способно повышать иммунную систему пациента, что делает организм более устойчивым к воздействию неблагоприятных климатических факторов. Это происходит из-за активации главных функций ЦНС человека.
Особенности сезонного ухода
Больше всего внимания требуют молодые растения. С третьего года ореху почти не требуется уход, за исключением санитарной обрезки, полива в засуху и сбора урожая.
Полив и подкормка
Полив при засухе требуется 1-2 раза в месяц. Под кусты выливают по 10 л воды. На следующий день почву под орехом нужно взрыхлить.
Обратите внимание! Весной после набухания почек нужно подкормить аммиачной селитрой, а осенью — калий-фосфорными удобрениями. Раз в три года почву перекапывают вокруг кустов, внося органику
Уход во время цветения
Опыление происходит при помощи ветра. Когда цветет лещина, мужские сережки разбрасывают пыльцу в среднем 12 дней, а женские цветки держатся раскрытыми до 14 дней. Что-то предпринимать в плане ухода в это время не требуется.
Профилактическая обработка
Сильнее всего орешник атакуют жуки. От них потребуется заблаговременно обработать кусты инсектицидами: карбофосом, хлорофосом или актелликом. От грибков обрабатывают с приходом весны медным купоросом или бордоской жидкостью.
Обрезка лещины
Обрезкой можно формировать дерево или куст. Проводят ее обычно зимой. Стараются удалить все ветви, где растет лещина, создающие избыточное загущение. Плоды образуются только на молодых побегах этого года. Раз в 20 лет проводят омолаживающее формирование, оставляя наземную часть высотой не более 30 см с самыми крепкими и здоровыми побегами.
Подготовка к зиме
Только в первые 2-3 года после посадки саженцев им нужно создавать укрытия на зиму. Их делают из агрополотна, обматывая крону либо пригибая ветви к почве и накрывая их сверху.
Уход за орехом

Маньчжурский орех – неприхотливое растение и не требует особенного ухода:
- Дерево любит влажную почву, поэтому его надо часто поливать. Взрослые растения поливают около четырех-пяти раз за сезон при достаточном выпадении осадков, двухлетние и трехлетние саженцы – семь или восемь раз. Если год выдается засушливым, нужно каждую неделю поливать дерево по 20 литров.
- Чтобы избежать застоя воды у ствола, землю нужно регулярно рыхлить и убирать сорняки. Чтобы сохранить почву влажной и затруднить рост сорняков, после этой процедуры на землю насыпайте мульчу.
- По окончании периода вегетации и цветения количество полива нужно сократить. Это необходимо для подготовки дерева к зиме (окончания роста и вызревания древесины).
- Дерево морозоустойчивое, и после повреждений морозами орех быстро восстанавливается и начинает плодоносить.
- Если дерево сильно повреждено ожогами, нужно срезать ствол и оставить невысокий пенек. Приствольные круги необходимо обработать – прополоть, разрыхлить, посыпать мульчу. От основания пенька быстро начнется образование отростков, из них формируются новые стволы.
- Защитить от солнечных ожогов дерево можно, размещая с южной стороны от него высокие деревья (ель, пихту, березу) на расстоянии около десяти метров.
- Чтобы уберечь штамб, с южной стороны на расстоянии два-три метра посадите крупные кустарники (ирга, калина).
- Первые три года саженца надо будет укрывать торфом, сухой листвой или просто мешковиной. В конце лета дерево надо подкормить суперфосфатом (20 грамм на 10л) воды или золой.
- Когда маньчжурский орех растет на открытом месте, он принимает форму большого куста. Ветки в нижней части ствола постепенно утолщаются, образуя новые стволы. Благодаря такой многоствольной форме, дерево становится более защищенное от солнечных ожогов.
Маньчжурский орех обычно формирует себя сам. Обрезать нужно засохшие и неудачно расположенные ветки, которые делают крону излишне густой. Обрезать ветви лучше весной, когда температура воздуха поднимется выше 10 градусов.
После этого до середины августа подрезать ветки не стоит, это может вызвать повторное формирование почек и рост. В результате молодые побеги зимой вымерзнут.
Маньчжурский орех можно формировать различным образом и в любой период. Его можно сделать раскидистым кустом с множеством стволов или в виде высокой пальмы. Плюсом высокого расположения кроны является то, что она не лишает солнечного света другие растения на участке.
Выращивание на дачном участке
Перед тем как начать выращивание молодого саженца необходимо определиться с местом. Этот кустарник не любит резких перепадов суточных температур.

При колебании жара-холод он рискует получить ожог либо примерзнуть, что скажется на общем благосостоянии куста в целом. Также возможно ухудшение качества и количества урожая. Будет уместным ограждать орешник от знойных солнечных лучей.


Боится фундук и сквозняка. Подбирая место, стоит убедиться, что оно не обдувается со всех сторон. В идеале его сажают рядом с домом. В этом случае одна из стен служит щитом от ветра.

Когда нет возможности посадить куст рядом со строением, тогда, его сажают вблизи раскидистых деревьев. Расстояние между ними должно быть не менее 4 метров. В других случаях можно высаживать куст рядом с живой изгородью.

Кроме того, лещина не любит чрезмерную влажность. Грунтовые воды не должны подходить более чем на 1,5 метра до места роста ореха. Растение нужно беречь и от паводков. Большое количество воды может навредить корневой системе, что впоследствии отразится на всем кусте или дереве. Оно может «заболеть» или даже погибнуть.
Ускорить цветение поможет посадка растения на южной стороне. Хотя в этом плане тоже нужно быть осторожными, поскольку лещина, которая зацвела раньше положенного, может пострадать в период заморозков. От резкого похолодания страдают завязи, что может привести к малому урожаю.

К почве также есть ряд требований. Подойдет нейтральная либо слабокислая рыхлая земля с уровнем pH от 6 до 6,5. Должен быть обеспечен хороший дренаж, чтобы вода не застаивалась и не портила корневую систему.

Удобрять землю лучше всего компостным перегноем и песком. Это обеспечит улучшенную проходимость воздуха и воды. Создав качественный уход за лещиной, можно рассчитывать на сбор первого урожая уже через 5 лет после посадки.

Можно не надеяться, что молодой саженец приживется в скалистой, песчаной иди заболоченной почве.

Описание растения и его характеристика
Орех относится к семейству ореховых и имеет вид дерева либо кустарника, листья которого опадают с наступлением осени. Многим садоводам этот сорт ореха известен под названием Думбейский. Манчжурский орех был выведен селекционерами в северо-восточной части Китая, а именно в Манчжурской области страны. В нашей стране растение хорошо прижилось на Дальнем Востоке, Приамурье, на острове Сахалин, а также в Приморском регионе. Такие области произрастания растения свидетельствуют о том, что оно хорошо переносит низкие температуры, даже до – 45 градусов. Стоит также отметить, что в центральных регионах страны орех хорошо растет и плодоносит.
Взрослое дерево
Растение имеет довольно привлекательный вид
Особенно привлекает внимание его раскидистая крона, которая имеет вид большого шара. Кора имеет светло-серый цвет, а в некоторых случаях может быть и коричневой
Все зависит от грунтов, на которых растет дерево или кустарник.
Если говорить о листовых пластинках ореха, их размеры, в отличие от грецкого ореха, достигают больших размеров. На одной листовой ветке растет около 20 небольших листиков, которые имеют заостренные края с зазубринками. В теплое время года листья приобретают изумрудный цвет, а с наступлением осени становятся золотистыми.
Период плодоношения манчжурского ореха начинается по достижению 10 – 13 лет. Растение начинает цвести весной (апрель, май). Плоды дозревают в начале осени. Они имеют овальную форму и достигают в диаметре приблизительно 4 – 6 см. Плоды-орехи растут по несколько штук, приобретая форму гроны из 3 – 8 орехов. Отличительной особенностью орехов является большая прочность их скорлупы, толщиной в 5 – 6 мм.
Манчжурсий орех имеет привлекательный внешний вид с выделенной шарообразной кроной.
Размножение
Особенности каждого сорта лещины можно сохранить только при вегетативном размножении.
В агротехнике орешника маньчжурского применяют и другие виды размножения:
- семенами;
- отводками;
- делением куста.
Самый простой способ – размножение орехами, но он не гарантирует сохранение сорта. Для высева используют хорошо вызревшие ядра. Их высаживают осенью в хорошо перекопанную, удобренную почву на глубину 5 см. Расстояние между сеянцами – 10 см. Сверху семена присыпают перегноем. Перезимовав под снегом, весной взойдут первые саженцы.
Осенью после сбора урожая часть кустарника обрезают как можно ближе к земле. В этом месте начнут формироваться отводки. Весной их нагибают и укладывают в подготовленные неглубокие канавки, фиксируют металлическими скобками. Место сгиба аккуратно надрезают. Наружные тонкие концы куста крепят вертикально к опоре. Их длина должна составлять не менее 10 см. Саженцы отводками выращивают примерно 2 года. После их отсоединяют от материнского куста и укореняют отдельно. Способ этот долгий и трудоемкий, но позволяет сохранить видовые качества растения.
При делении материнский куст разрезают по корню так, чтобы каждое новое растение имело несколько отростков и хорошо развитое корневище. Перед посадкой корневые отростки укорачивают до 25 см. Каждый новый куст лещины маньчжурской укореняют согласно алгоритму посадки.
Какие еще виды лещины бывают
Как посадить мяту и вырастить из семян на даче
Всего к настоящему моменту известно около 20 сортов, возделываемых исключительно в открытом грунте, из которых самыми популярными считаются следующие.
Лещина древовидная (Corylus Colurna), или медвежий орех
В дикой природе распространен на Северном Кавказе в среднем горном поясе. Вырастает лещина деревом до 20 м высотой, живущим до 200 лет, не дающим корневых отпрысков. Трудно поверить, что это лещина. Орехи с очень твердой скорлупой находятся в мягкой обертке. Урожайные годы перемежаются с 2-3 годами полного простоя.

Медвежий орех
Лещина разнолистная (Corylus Heterophylla)
Кустарник 2-4 м высотой. Плоды образуются по 2-3 шт. на тонких длинных ножках. Обертка орехов зеленая, бархатистая по форме напоминает колокольчик. Название указывает на то, что листья образуются разные: на верхних ветках темно-зеленые и голые, а на нижних — более светлого оттенка и опушенные.

Лещина разнолистная
Лещина маньчжурская, или зибольда (Corylus Mandshurica)
Кустарник высотой 3-4,5 м имеет интересную форму околоплодников орехов: трубчатую, сильно вытянутую длиной до 6 см. Из-за этого сбор и извлечение орехов несколько затруднены. Вид в культуре возделывают с 1882 г., но в России он встречается преимущественно в Московской и Ленинградской областях. Морозостойкость до −45 °С.

Маньчжурская лещина
Лещина краснолистная (Corylus Atropurpurea)
Необычный сорт высотой 2-3 м с красными (пурпурными) листьями был выведен в Великобритании в 1836 г. Ценится не только за крупные плоды, но и за декоративную крону, широко используемую в ландшафтном дизайне. Морозостойкость немного ниже (до −29 °С).

Краснолистная лещина
Лещина крупная (Corylus Maxima), или ломбардский орех
Куст или дерево высотой 3-10 м. Плодоносит крупными (до 2,5 см в диаметре) орехами, заключенными в красную или зеленую обертку трубчатой вытянутой формы с широкими зубчатыми лопастями. Лист также может быть темно-зеленым или бардовым.
Обратите внимание! Вид известен со времен Древней Греции и славится приятным миндальным вкусом и жирностью (до 60 %). Ломбардский орех

Ломбардский орех
Выращивание маньчжурского ореха
На Дальнем Востоке, в Китае, Корее растет маньчжурский орех. Еще его называют думбейским или амурским. Места обитания уссурийской лещины — смешанные леса. Соседи — дубы, клены, ели, лиственницы. Селекционеры вывели 20 видов ореха для различных регионов России.
Как вырастить маньчжурский орех в домашних условиях
Дикий амурский орех высотой 25 метров, с широкой раскидистой кроной живет, плодоносит 200 лет. Плоды похожи на грецкие, такие же вкусные, питательные, полезные. Отличает растение устойчивость к холодам, ветрам, неприхотливость.
Аграрии на Урале, в Сибири, Подмосковье, ценят маньчжурский орех за внешнюю красоту, внутреннюю полезность, обильное плодоношение. При желании каждый может вырастить амурскую культуру на приусадебном участке, улице, во дворе дома.
Правильная посадка семян, саженцев, уход за молодыми деревьями — все, что нужно некапризному растению.
Размножение саженцами
Решение посадить орехового «амурца» должно быть продумано. Приобрести однолетние саженцы — полдела. Надо изучить правила посадки маньчжурского ореха:
- выбрать место, открытое, солнечное, с плодородной почвой;
- время посадки — середина весны или начало осени;
- листья орешника выделяют фитонциды. Они отпугивают насекомых, но замедляют рост соседних растений;
- широкая, сильная корневая система может разрушить фундамент дома, если дерево посадить ближе 10 м;
- расстояние между саженцами — десять метров;
- посадочная яма — 1 м², глубина — по состоянию корня (центральный подрезают, чтобы основной рост пришелся на само деревце);
- на дно ямки уложить битый кирпич, гальку или щебень, завалить дренаж слоем земли, вылить ведро воды;
- следующий слой — старый навоз, перегной, древесная зола, 20 г суперфосфата — засыпать плодородным грунтом;
- аккуратно расположить саженец, привязать его к опоре, высыпать землю, утрамбовать, еще раз полить;
- вокруг ствола уложить листья, кору, мелкие ветки или солому;
- через 5 — 7 дней полить еще раз.
Размножение семенами
Не только саженцами, но и семенами возможно размножение маньчжурского дерева. Орехи для будущей посадки подобрать целые, без повреждений, потемнений, отверстий. Свежие или прошлогодние, не старше. С возрастом всхожесть семян уменьшается.
Осенний посев
На каждый квадратный метр плодородной почвы вносится древесная зола, 200 — 300 г. Грунт перекопать, сформировать грядки. Семена уложить на ребро, через 10 см друг от друга. Засыпать землей, полить, сверху наложить листьев или опилок.
Через год выбрать сильные сеянцы, пересадить на постоянное место. Центральный корень подрезать. Развитая древесина поможет перенести зимние морозы.
Весной подготовленные семена лучше всходят. Свежие или однолетние плоды маньчжурского ореха хранят в прохладном месте.
Есть 2 метода проращивания. Первый попроще: семенной материал заливают горячей водой на сутки. Перекладывают в ящик с влажным песком, хранят при комнатной температуре.
Через месяц высаживают на постоянное место. Если планируется выращивать уссурийскую лещину на улице или вдоль дороги, то сеянцы сажают в большие горшки, пока не окрепнут.
Второй способ:
- ноябрь. Засыпать плоды чистым влажным песком, закрыть полиэтиленом;
- контролировать влажность, наличие плесени;
- март. Достать семена, промыть. Залить теплой водой на 10 дней;
- уложить в землю, на глубину 7 см, при комнатной температуре;
- апрель. Появятся ростки или приоткроется скорлупа. Можно сажать на приготовленное место.
Опытные садоводы советуют учитывать климатические условия региона. Апрель везде разный. Проще сразу закрыть грядку укрывным материалом или пленкой (сделать отверстия).





























